House

2-ST Wooden-Concrete House

Save property กรุณาเข้าสู่ระบบก่อนบันทึกทรัพย์สิน

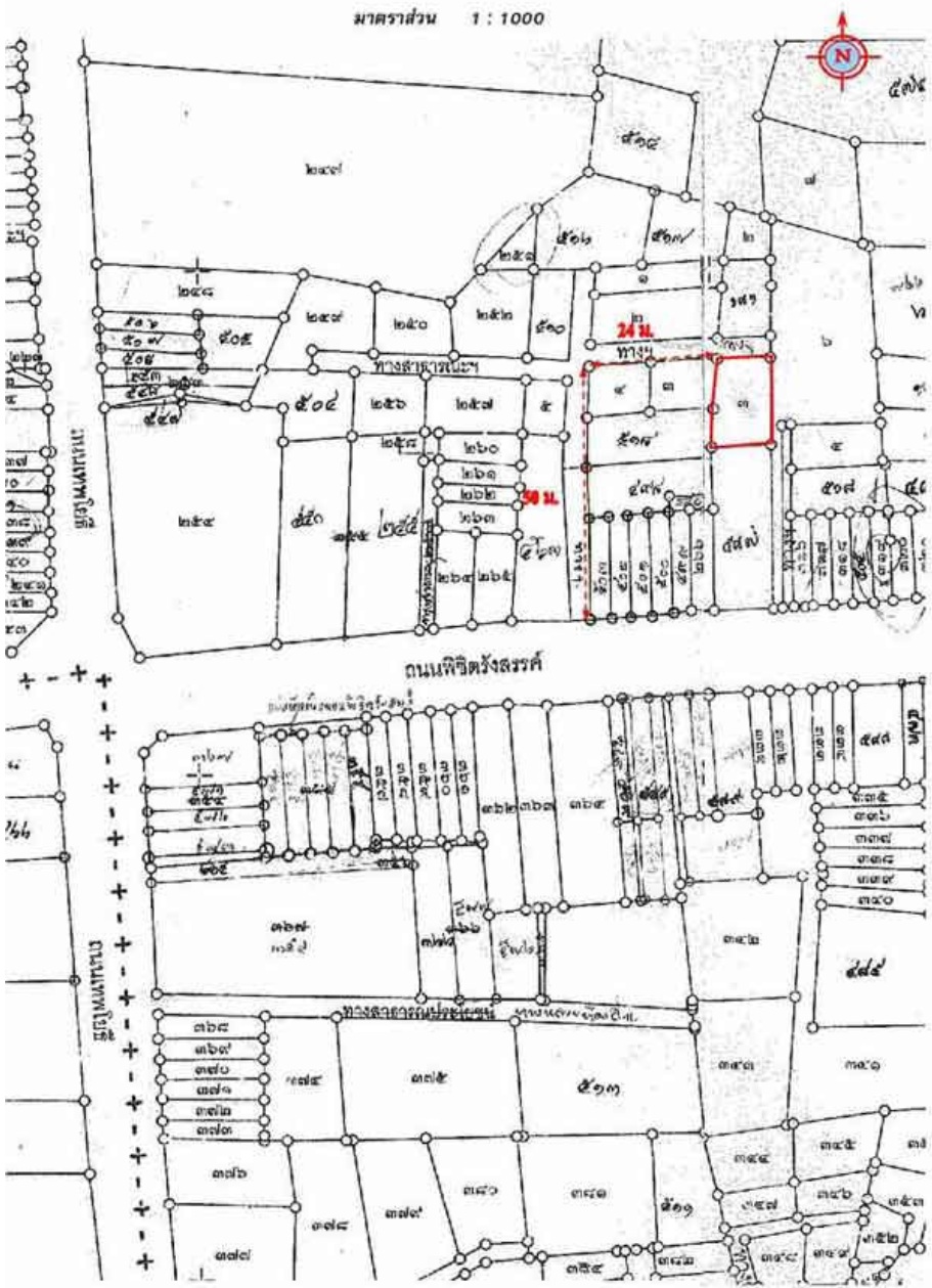
6 Phichid Rangsan 6/3 Sub-district Nai Mueang , District Mueang , Province Ubon Ratchathani For Google Maps : 15.23377648,104.86584803

1,840,000

Baht

  • Usable Area : 153 sq.m.

  • Land Area : 50.1 Sq. Wah

Status :
For Sale

Property Code :
KB01_2_093_G02 (LK2_093_1)

Property Detail :
74 meters from Phichitrangsan Road

Deed No. :
Chanod No. 11938

ผู้จัดการทรัพย์ :
K.Artchara

More Properties You May Like

View All

Select properties to compare

Select the properties you’re interested in and compare them side by side to clearly see the differences

2-ST Wooden-Concrete House

1,840,000 Baht

View Detail
Location Location 6 Phichid Rangsan 6/3 Sub-district Nai Mueang
Usable Area Usable Area 153 sq.m.
Land Area Land Area 50.1 Sq. Wah
Detail Detail
  • -
  • -
The comparison table is full. Please remove a property before adding a new one.