|
|
|
|---|---|---|
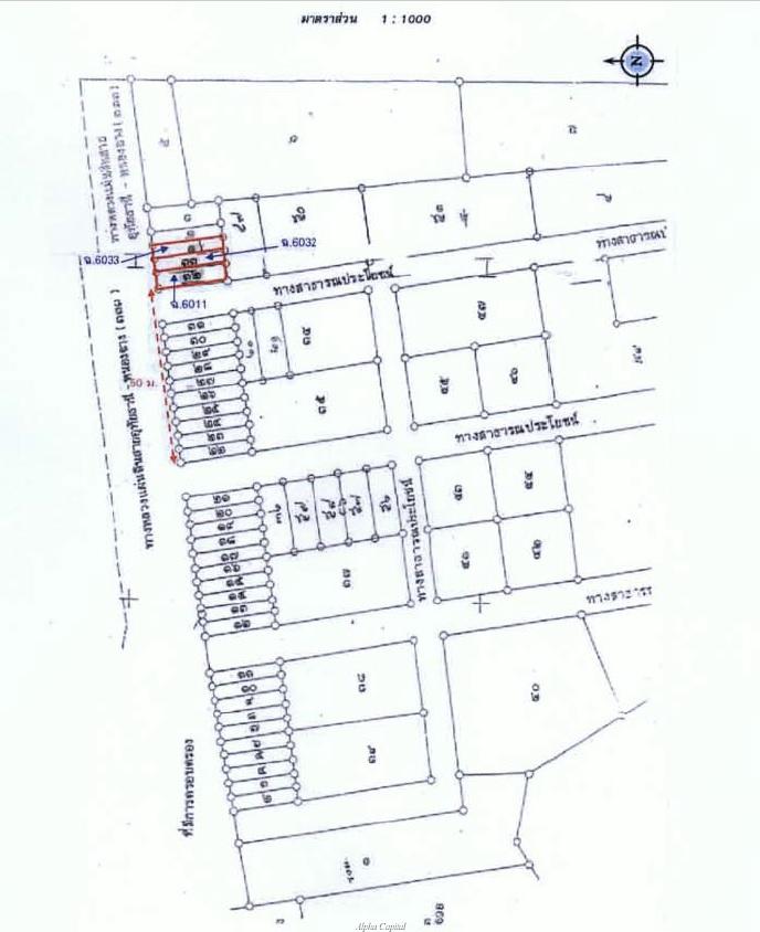
| Location | Location 54/30-31 Uthai Thani-Nong Chang (333) Sub-district Tha Po | |
| Usable Area | Usable Area 455 sq.m. | |
| Land Area | Land Area 68 sq.w | |
| Detail |
Detail
|
Shophouse
54/30-31 Uthai Thani-Nong Chang (333) Sub-district Tha Po , District Nong Khayang , Province Uthai Thani For Google Maps : 15.366281,99.998434
3,780,000
Baht
Status :
For Sale
Property Code :
L4_1_0255_G01 (1-0255)
Property Detail :
Adjacent to Uthai Thani-Nong Chang Road (Torl. 333) at km 164 + 100
Deed No. :
Chanod No. 6011, 6032, 6033
Select the properties you’re interested in and compare them side by side to clearly see the differences
|
|
|
|---|---|---|
| Location | Location 54/30-31 Uthai Thani-Nong Chang (333) Sub-district Tha Po | |
| Usable Area | Usable Area 455 sq.m. | |
| Land Area | Land Area 68 sq.w | |
| Detail |
Detail
|
Compare key features, prices, locations, and other property details in a single view to help you make decisions more easily