|
|
|
|---|---|---|
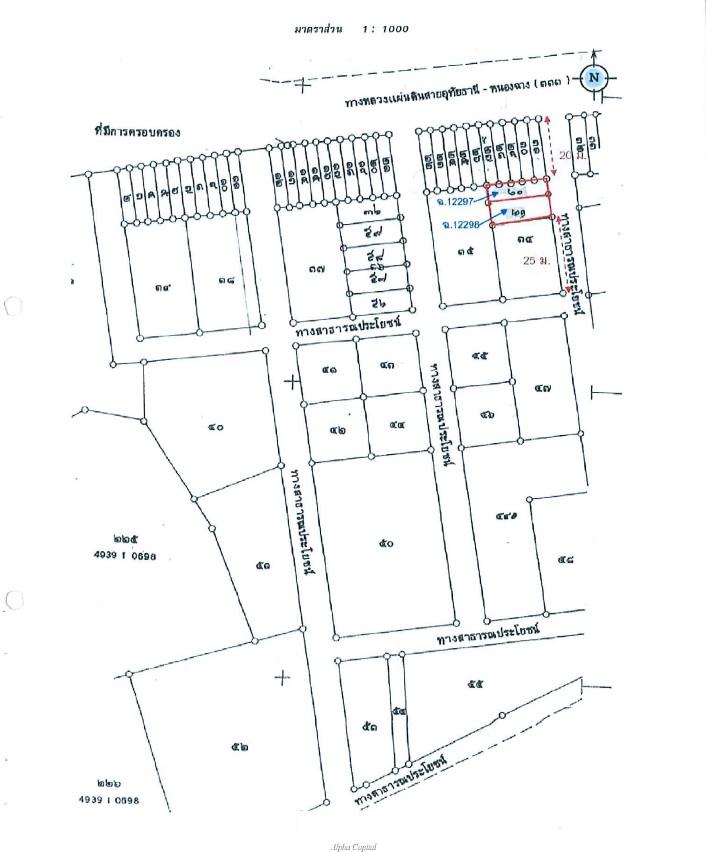
| Location | Location 74 , Located along Unnamed Soi Uthai Thani - Nong Chang Rd.(Hwy.333) Sub-district Tha Po | |
| Usable Area | Usable Area 464 sq.m. | |
| Land Area | Land Area 71 Sq. Wah | |
| Detail |
Detail
|
Others
74 , Located along Unnamed Soi Uthai Thani - Nong Chang Rd.(Hwy.333) Sub-district Tha Po , District Nong Khayang , Province Uthai Thani For Google Maps : 15.366026, 99.998224
1,100,000
1,950,000
Baht
Sale Until: June 30, 2026
Status :
For Sale
Property Code :
L4_1_0255_G02 (1-0255)
Property Detail :
20 meters from Uthai Thani-Nong Chang Road (Torl. 333)
Deed No. :
Chanod No. 12297, 12298
ผู้จัดการทรัพย์ :
K.Santi
Select the properties you’re interested in and compare them side by side to clearly see the differences
|
|
|
|---|---|---|
| Location | Location 74 , Located along Unnamed Soi Uthai Thani - Nong Chang Rd.(Hwy.333) Sub-district Tha Po | |
| Usable Area | Usable Area 464 sq.m. | |
| Land Area | Land Area 71 Sq. Wah | |
| Detail |
Detail
|
Compare key features, prices, locations, and other property details in a single view to help you make decisions more easily