House

1-ST Single House and warehouses

Save property กรุณาเข้าสู่ระบบก่อนบันทึกทรัพย์สิน

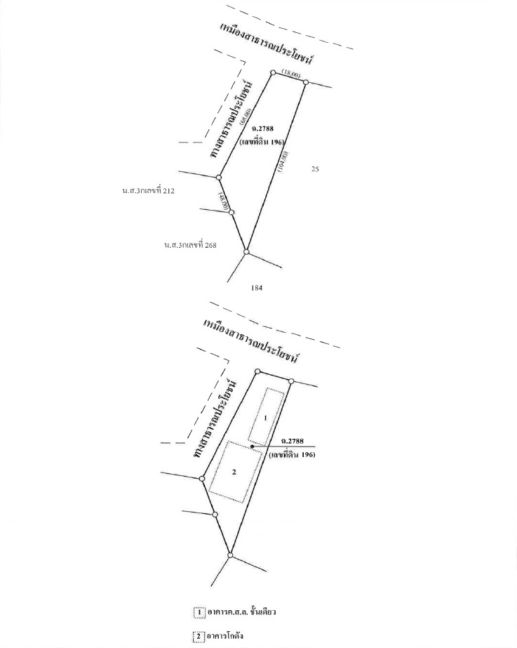
141 Moo 5 Ban Wai Luem-Ban Phai Lom Sub-district Mumon , District Chiang Khwan , Province Roi Et For Google Maps : 16.180333,103.722149

2,180,000

Baht

  • Usable Area : 779 sq.m.

  • Land Area : 493 Sq. Wah

Status :
For Sale

Property Code :
L4_2_0556_G01 (2-0556)

Deed No. :
Chanod No. 2788

ผู้จัดการทรัพย์ :
K.Pongsiri

More Properties You May Like

View All

Select properties to compare

Select the properties you’re interested in and compare them side by side to clearly see the differences

1-ST Single House and warehouses

2,180,000 Baht

View Detail
Location Location 141 Moo 5 Ban Wai Luem-Ban Phai Lom Sub-district Mumon
Usable Area Usable Area 779 sq.m.
Land Area Land Area 493 Sq. Wah
Detail Detail
  • -
  • -
The comparison table is full. Please remove a property before adding a new one.