House

Land and buildings,1-storey residential building

Save property กรุณาเข้าสู่ระบบก่อนบันทึกทรัพย์สิน

53 Ban Khad Khao-Ban Don Wiwek Sub-district Phra That , District Chiang Khwan , Province Roi Et For Google Maps : 16.141441,103.767631

360,000

Baht

  • Usable Area : 177.5 sq.m.

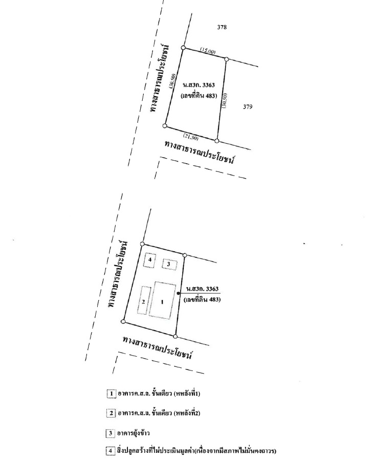
  • Land Area : 120 Sq. Wah

Status :
For Sale

Property Code :
L4_7_0387_G01 (7-0387)

Deed No. :
Nor Sor 3 Kor No. 3363

ผู้จัดการทรัพย์ :
K.Pongsiri

More Properties You May Like

View All

Select properties to compare

Select the properties you’re interested in and compare them side by side to clearly see the differences

Land and buildings,1-storey residential building

360,000 Baht

View Detail
Location Location 53 Ban Khad Khao-Ban Don Wiwek Sub-district Phra That
Usable Area Usable Area 177.5 sq.m.
Land Area Land Area 120 Sq. Wah
Detail Detail
  • -
  • -
The comparison table is full. Please remove a property before adding a new one.