บ้านเดี่ยว

บ้านเดี่ยว 2 ชั้น ยลภา

บันทึกทรัพย์สิน กรุณาเข้าสู่ระบบก่อนบันทึกทรัพย์สิน

777/101 ซอย 7 และ 9 ถนนกลางเมือง (เจนจบทิศ) แยกจากถนนมิตรภาพ ต. เมืองเก่า อ.เมืองขอนแก่น จ.ขอนแก่น พิกัด : 16.37929102,102.81318183

5,570,000

บาท

  • พื้นที่ใช้สอย : 168.25 ตร.ม.

  • เนื้อที่ : 120.5 ตร.ว.

สถานะ :
ทรัพย์พร้อมขาย

รหัสทรัพย์สิน :
KB01_2_076_G01 (LK2_076_1)

เอกสารสิทธิ์ :
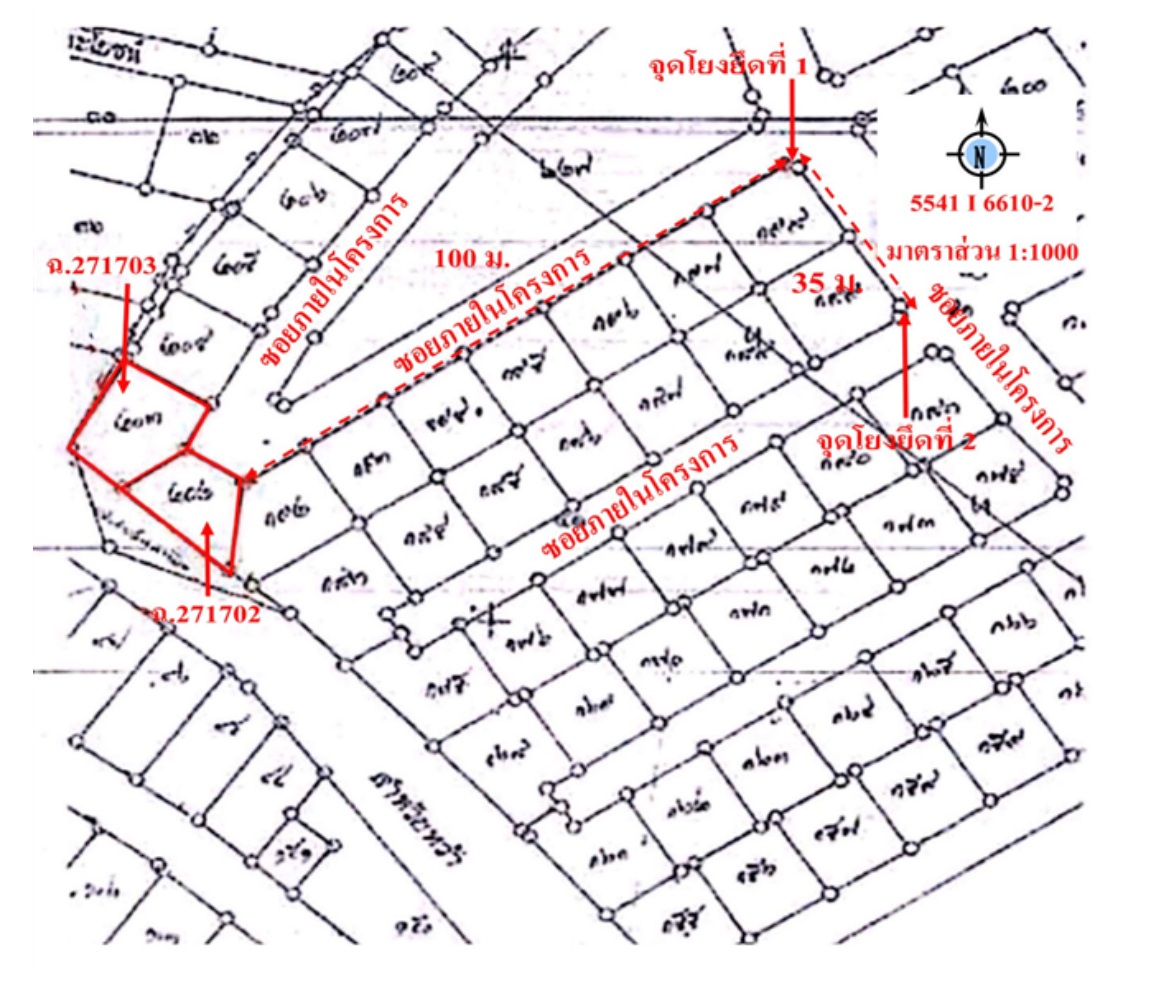
โฉนด เลขที่ 271703, 271702

ผู้จัดการทรัพย์ :
คุณพงศ์ศิริ

ทรัพย์อื่นๆที่น่าสนใจ

ดูทั้งหมด

เลือกทรัพย์สินเพื่อเปรียบเทียบ

เลือกทรัพย์สินที่คุณสนใจ แล้วนำมาเปรียบเทียบแบบเคียงข้างกัน เพื่อดูความแตกต่างได้ชัดเจนขึ้น

บ้านเดี่ยว 2 ชั้น ยลภา

5,570,000 บาท

ดูเพิ่มเติม
ที่ตั้ง ที่ตั้ง 777/101 ซอย 7 และ 9 ถนนกลางเมือง (เจนจบทิศ) แยกจากถนนมิตรภาพ ต. เมืองเก่า
พื้นที่ใช้สอย พื้นที่ใช้สอย 168.25 ตร.ม.
เนื้อที่ เนื้อที่ 120.5 ตร.ว.
รายละเอียด รายละเอียด
  • -
  • -
ตารางเปรียบเทียบเต็มแล้ว กรุณาลบทรัพย์ออกก่อนเพิ่มใหม่