|
|
|
|---|---|---|
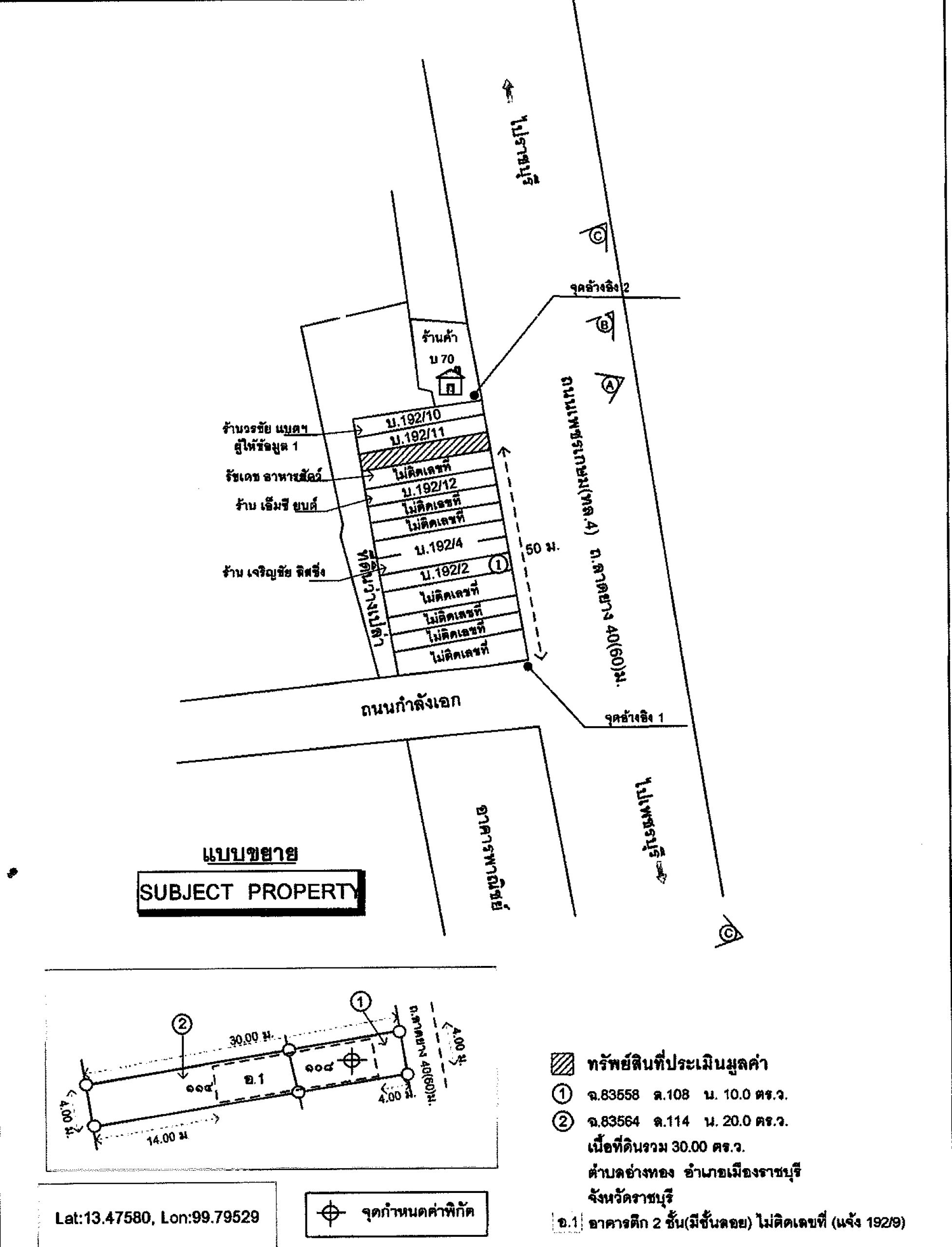
| ที่ตั้ง | ที่ตั้ง 192/9 เพชรเกษม ต. อ่างทอง | |
| พื้นที่ใช้สอย | พื้นที่ใช้สอย 162 ตร.ม. | |
| เนื้อที่ | เนื้อที่ 30 ตร.ว. | |
| รายละเอียด |
รายละเอียด
|
อาคารพาณิชย์
192/9 เพชรเกษม ต. อ่างทอง อ.เมืองราชบุรี จ.ราชบุรี พิกัด : 13.4758337, 99.795289
1,250,000
1,620,000
บาท
จนถึงวันที่: 30 มิถุนายน 2569
สถานะ :
ทรัพย์พร้อมขาย
รหัสทรัพย์สิน :
L4_2_0372_G02 (2-0372)
เอกสารสิทธิ์ :
โฉนด เลขที่ 83558, 83564
ผู้จัดการทรัพย์ :
คุณวิทยา
เลือกทรัพย์สินที่คุณสนใจ แล้วนำมาเปรียบเทียบแบบเคียงข้างกัน เพื่อดูความแตกต่างได้ชัดเจนขึ้น
|
|
|
|---|---|---|
| ที่ตั้ง | ที่ตั้ง 192/9 เพชรเกษม ต. อ่างทอง | |
| พื้นที่ใช้สอย | พื้นที่ใช้สอย 162 ตร.ม. | |
| เนื้อที่ | เนื้อที่ 30 ตร.ว. | |
| รายละเอียด |
รายละเอียด
|
เปรียบเทียบจุดเด่น ราคา ทำเล และรายละเอียดอื่น ๆ ของทรัพย์สินได้ในมุมมองเดียว เพื่อช่วยให้ตัดสินใจได้ง่ายขึ้น