บ้านเดี่ยว

บ้านพักอาศัยเเละโรงเรือนเลี้ยงหมู

บันทึกทรัพย์สิน กรุณาเข้าสู่ระบบก่อนบันทึกทรัพย์สิน

353/2 ซอยประภาสิทธิ์ ประชาสรรค์ ต. สิชล อ.สิชล จ.นครศรีธรรมราช พิกัด : 8.996545,99.906261

3,690,000

บาท

  • พื้นที่ใช้สอย : 316 ตร.ม.

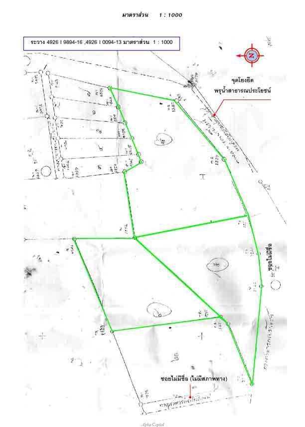
  • เนื้อที่ : 2752.1 ตร.ว.

สถานะ :
ทรัพย์พร้อมขาย

รหัสทรัพย์สิน :
L4_7_0310_G01 (7-0310)

รายละเอียดทรัพย์ :
ห่างจากถนนประชาสรรค์ ประมาณ 120 เมตร

เอกสารสิทธิ์ :
โฉนด เลขที่ 8258, 8259, 8257

ผู้จัดการทรัพย์ :
คุณวิทยา

ทรัพย์อื่นๆที่น่าสนใจ

ดูทั้งหมด

เลือกทรัพย์สินเพื่อเปรียบเทียบ

เลือกทรัพย์สินที่คุณสนใจ แล้วนำมาเปรียบเทียบแบบเคียงข้างกัน เพื่อดูความแตกต่างได้ชัดเจนขึ้น

บ้านพักอาศัยเเละโรงเรือนเลี้ยงหมู

3,690,000 บาท

ดูเพิ่มเติม
ที่ตั้ง ที่ตั้ง 353/2 ซอยประภาสิทธิ์ ประชาสรรค์ ต. สิชล
พื้นที่ใช้สอย พื้นที่ใช้สอย 316 ตร.ม.
เนื้อที่ เนื้อที่ 2752.1 ตร.ว.
รายละเอียด รายละเอียด
  • -
  • -
ตารางเปรียบเทียบเต็มแล้ว กรุณาลบทรัพย์ออกก่อนเพิ่มใหม่